首页
科技新知
宇宙奥秘
航空航天
国家地理
历史军事
动物世界
植物世界
远古生物
未解之谜
探索发现
自然现象
考古发现
户外探险
桌面壁纸
环球趣闻
Science News
神秘的地球
国家地理
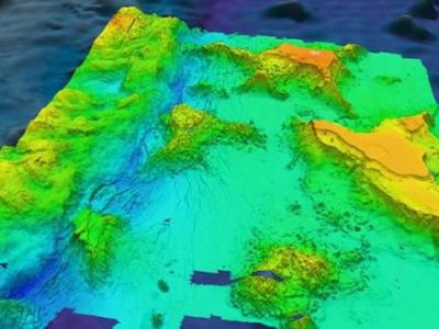
马里亚纳海沟绘制精细3D扫描图:最深处10
研究人员利用一艘配备了高科技回音测深仪的船只绘制世界最深处的3D“图” 横跨...
暴风雪袭击美国
暴风雪袭击美国 美国宇航局地球观测站(NASA Earth Observatory)今日公布了一张卫...
西班牙马略卡岛
西班牙马略卡岛 美国宇航局地球观测站(NASA Earth Observatory)今日公布了一张宇...
希腊罗德岛
希腊罗德岛 美国宇航局地球观测站公布了一张卫星照片,展示了希腊罗德岛(Rhodes...
巴哈马蓝洞发现新种细菌
巴哈马群岛的阿巴科蓝洞,勘探队潜水员格雷格-斯坦顿拖着浮游生物网在细菌垫旁边...
巴哈马群岛深海“蓝洞”中的微生物可能非
潜水探险员格雷格-斯坦登在巴哈马深海蓝洞采集微生物 日前,科学家宣称,巴哈马...
俄钻探南极两千万年前冰川湖 或将发现神
目前,俄罗斯一支科学家小组在南极洲钻探拥有2000万年历史神秘冰川湖泊时与美国同...
南极冰川出现30公里裂缝 可能产生巨型冰山
美国地球观测卫星“Terra”上搭载的光学感应器2011年11月拍摄到南极派恩岛冰川出...
美国自由流淌的大河
蒂纳古克河 阿拉斯加州,北极之门国家公园及保护区 1980年后受保护河段长70.8公里...
太空拍智利火山爆发
卫星照片展示了智利普耶韦-科登·考列火山(Puyehue-Cordón Caulle Volcano )爆...
1...
上一页
138
139
140
141
142
143
144
145
146
147
...206
下一页
最新资讯
一颗陨石飞越欧洲—
2026年3月8日德国黄昏时分流星穿越天空,这颗明亮的天体曾飞越至少五个国家。 图片...
一只长着奇怪鼻子的
由爱荷华大学领导的研究人员描述并命名了一种新出现的鳄鱼物种,该物种在300多万年...
NASA在意外地点发现
这些图形描绘了钱德拉和其他望远镜可能发现的两颗中子星在一个被巨大气体流掩埋的微...
天文学家首次见证了
艺术家对磁星的构想,它被一个吸积盘包围,而磁星因广义相对论的影响而摇晃或进动。...
2026年黄石公园的第
一只灰熊骑在黄石湖附近的野牛尸体上。这不是最近被发现的那只熊。 uux.cn国家公园...
3I/ATLAS彗星充满酒
展示了3I/ATLAS的艺术想象图,它经过太阳附近,照亮了彗星的一侧。彗星靠近太阳的一...
一罐埋藏的帝国金币
大多数硬币为俄国革命前铸造的10卢布金币。 图片来源:uux.cn俄罗斯科学院考古研究...
2026年3月3日月全食
2026年3月3日月全食的阴影(神秘的地球uux.cn)据美国国家航空航天局:2026年3月3日...
这只贵宾犬大小的古
艺术家在距今已有2.15亿年的化石森林国家公园的环境中重建了Sonselasuchus cedrus。...
科学家终于找到了解
Megamastax amblyodus的化石和高分辨率CT重建......图片来源:IVPP,CAS(神秘的地...