中南美洲发现了19种速度飞快的螳螂新品种
(神秘的地球报道)据美国国家地理:最新发表的研究指出,有一名科学家发现了19种速度飞快的螳螂新品种,出没在中南美洲。
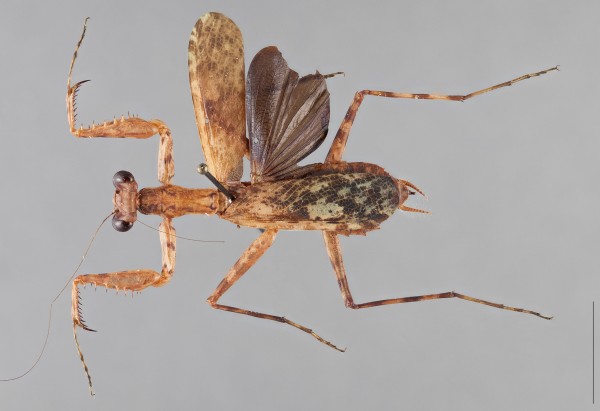
这些螳螂都属于「树皮螳螂」(bark mantis)的族类,外型比一般我们所知的螳螂宽而扁平。
「它们看起来几乎就像是头比较小的蟑螂,」盖文.史芬森(Gavin Svenson)说。他是克利夫兰自然历史博物馆(Cleveland Museum of Natural History)的无脊椎动物学研究员,最近在期刊《ZooKeys》发表了一篇研究。
Liturgusa algorei是发现于秘鲁北部亚马逊流域的螳螂新品种。摄影:Gavin Svenson, Cleveland Museum of Natural History
在这些新品种中,它们有些名字很有创意。上图Liturgusa algorei 的名字是纪念美国前副总统、也是环保主义者的艾尔.高尔(Al Gore)。 Liturgusa krattorum则是以热门儿童动物节目主持人马丁.克拉特(Martin Kratt)和克里斯.克拉特(Chris Kratt)为名。而史芬森也以他女儿泰莎(Tessa)和柔依(Zoey)帮两种树皮螳螂命名,分别为Liturgusa tessae和Liturgusa zoae。
早先的生物科学界仅知十种树皮螳螂,而这份新研究几乎是掀开这个螳螂族类三倍的生物多样性。
「未来将有好几年,这份研究都会是树皮螳螂研究领域的圭臬,」杰森.克莱恩(Jason Cryan)断言。他是位于罗利的北卡罗来纳自然科学博物馆(North Carolina Museum of Natural Sciences)馆藏研究组的副主任,没有参与这次的研究发表。
身手迅捷的隐藏猎人
史芬森在南、北美洲以及欧洲各地的博物馆里,研究了超过500种的树皮螳螂标本,也从中南美洲的八个国家中搜集许多昆虫。
来自危地马拉的母Liturgusa zoae,发现于史密森学会的螳螂馆藏。现已移至克利夫兰自然历史博物馆。摄影:Gavin Swenson, Cleveland Museum of Natural History
大多数的树皮螳螂都有很强的伪装能力,可让自己看起来像是树皮或地衣的一部分。它们一生当中都是在树干和细枝上度过,因为待在树上就可以运用它们卓越的视力猎捕小型昆虫。
很多人都以为螳螂是行踪神秘的伏击式猎人,然而史芬森表示树皮螳螂会主动追捕猎物并制伏对方。 「它们速度快得吓人,」史芬森说。
由于它们伪装技巧高超且速度敏捷,要抓到树皮螳螂并不容易。但史芬森发明了一个方法:以形状略弯的长棍,轻轻触碰树干的背面。
在秘鲁北部亚马逊河沿岸发现的母Liturgusa krattorum。摄影:Gavin Svenson, Cleveland Museum of Natural History
「树皮螳螂会在你发现它之前,早就已经看到你了,然后它会跑到树的背面。这就是个机会,」史芬森解释。用长棍轻敲树后可以让螳螂跑到前面来,接着就能以网子或杓子捕到它。
史芬森选在夜晚来捕集树皮螳螂,他会以明亮的聚光灯照着树皮螳螂的眼睛,造成它们短暂昏迷。
未知的命运
这些新品种有许多是从50至100年前搜集来的标本中发现的,有时也会来自一些今日已被转为农业用地或都市化的地区。
在秘鲁发现的公Liturgusa tessae。摄影:Gavin Svenson, Cleveland Museum of Natural History
目前并不知道其中某些树皮螳螂品种是否濒危或什至已经灭绝,史芬森表示:至少他希望这份新研究可以为这些谜样生物点亮一条探索之路。
撰文: Mary Bates















