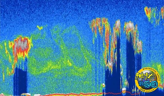
美国国家地理一周太空图片精选:小行星穿越蝌蚪星云 来源: 神秘的地球 时间:2010年5月21日 10:21 5. 扩散的沙尘 扩散的沙尘 本周美国宇航局公布了一张图片,亮绿色的漩涡代表了约10公里高的来自中国的沙尘羽状物在云中移动。(图片中上端为红色的深蓝色柱状物是云) 这些沙尘来自4月份源于中国塔克拉玛干沙漠和戈壁滩的沙尘暴。沙尘穿越了太平洋,逐渐抵达美国和加拿大。这张照片是美国宇航局CALIPSO卫星拍摄的。美国宇航局科学家雷蒙德-罗杰斯说道:“谁都知道在中国每年都会发生沙尘暴,但沙尘能运行如此之远,在以往是很少能够见到的。” 新浪环球地理(唐宁) 上一页12345 上一篇 下一篇