南极海底发现火山群
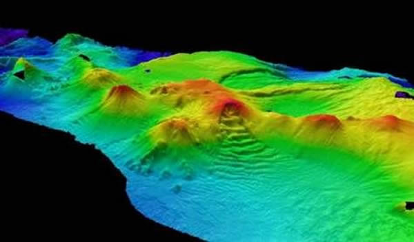
这是此次海底绘图作业中发现的新火山,这幅图中最显眼的那座据信是最活跃的,在过去数年中曾经发生过喷发
海底火山!里特博士的小组对一条宽约100英里(约合161公里),长度约等于英国的海域进行海底地形测绘,并在此过程中发现了12座先前未知的新火山,图中缺失部分是露出水面的岛屿
科学家们近期发现在南极洲冰封的洋面之下存在一系列的火山,其中至少有数座仍然处于活跃状态。这是该地区首次发现此类现象。
这些火山从海底高耸而起,有些高出周围海底近1万英尺(约合3000米)——几乎到达水面。
菲利普·里特(Philip Leat)是来自英国南极调查局的火山地质学家,他说:“这是一座大火山,一座非常巨大的火山。如果这要是在陆地上,它将非常壮观。”里特曾经分别在2007年和2010年两次率队赴南极进行海底地形测绘任务。
这组12座海底火山位于南桑威奇群岛以南,这是一个偏远的群岛,由终年冰雪覆盖的火山岛组成,孤立于南大西洋的万顷碧涛之上,这里的火山在2008年还发生过喷发。而此次发现的海底火山则是首次在南极海域发现这样的大批量海底火山地形。
里特说,考察队对于这样的结果多少感到有点吃惊。他说:“我们知道这一地区应该还会存在其他火山的,但是我们并非抱着发现火山的目的而去的;我们的任务是去绘制海底地图,因为我们的地图上这片海区仍然是一片空白,因此我们需要进行绘图,来看看这里究竟有些什么。”
来自海底的惊喜
借助船上搭载的先进制图设备,考察队顺利地进行着工作,一切顺风顺水。
里特说:“海底的图像显示在你面前的计算机屏幕上,这非常让人兴奋。”他说:“你到处瞎看,然后你突然注意到海底的地形开始上升了,而你对于它究竟会上升到多浅的地方心里没底。”
某天深夜,在一个点上,小组发现海底出现一座巨大的火山,其高耸的山峰几乎要让皇家考察船詹姆斯·克拉克·罗斯(James Clark Ross)号触礁。里特说:“那可真是惊险。”
研究小组决定停船并等待天亮。随后进行的仪器测量显示这里水下的火山口距离水面仅有160英尺(约合48.8米)不到。
确认存在火山
尽管这些山峰隐匿于水下,没有3-D水下测绘技术是无法观察到的,但是科学家们仍然能迅速判断出这是否是一座火山。
里特说,它们的圆锥形状泄露了天机。“除了火山活动之外,在海床上没有其他途径可以形成这种形状。”除此之外,地质学家们对这些“顶峰”进行了抓斗取样分析,结果发现了大量的火山碎屑成分,浮石以及黑色玄武岩成分。
这一发现支持了一项1962年发布的考察报告,当时一艘考察船在此区域考察并报告称他们发现海底存在火山爆发。
里特还说,他船上的生物学家们注意到这些火山系统中存在类似热泉的区域,这里生存着多种有趣的生物,有关这些发现的报告将很快公布。
尽管这片海域基本都是冰封而偏僻的,但是里特说整个航程一点都不枯燥。事实上非常有趣,因为每一刻都有一个从未被世人了解的崭新世界在你的面前呈现出来。
他说:“这简直太妙了,晚上你几乎无法入睡,因为这一切太令人兴奋了。”
新浪科技(晨风)













