苏军总参谋长朱可夫得悉德军入侵消息后 随即下令轰炸德国的轴心国盟友罗马尼亚
图为朱可夫签署的文件。
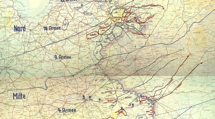
德军地图清楚显示行军方向及攻击目标。
朱可夫得悉德军入侵的消息后,随即下令轰炸德国的轴心国盟友罗马尼亚。
苏军击落德军的飞机。
(神秘的地球uux.cn报道)俄罗斯国防部于周五(22日)、第二次世界大战苏德战争爆发77周年纪念日,公布一批战争爆发首日的解密军事档案,披露时任苏军总参谋长朱可夫得悉德军入侵的消息后,随即下令轰炸德国的轴心国盟友罗马尼亚。惟开战仅半天,苏军西部多个机场遭猛烈轰炸,损失多架飞机。
档案的保存日期是1950年代初期,由朱可夫签署的文件长达3页,签署时间是1941年6月22日上午7时15分,德军刚于3小时前入侵苏联。朱可夫在文件中下达“以一切手段攻击敌人,并把进犯苏联边境的敌人歼灭”的指令,同时下令前线部队除非有特别指示,否则不得攻击芬兰及罗马尼亚的领土。但是,朱可夫在最后一页的附注中写下“轰炸罗马尼亚”的字句。
罗马尼亚曾在苏德战争初期加入轴心国,出兵协助德军入侵苏联。罗马尼亚亦曾参与屠杀犹太人,多达16万罗马尼亚的犹太人遇害。曾在1939年冬季战争令苏联吃尽苦头的芬兰,虽然没有加入轴心国,但有派兵参与入侵苏联。
除了公布解密军事档案外,俄罗斯国防部亦公布了一幅苏德战争爆发首日的德军地图,清楚显示德军的行军方向及攻击目标。国防部表示,公布的文献“反映苏联红军士兵及指挥官具有空前的集体英雄主义精神,它令希特勒的巴巴罗萨行动化为尘土”。
二战的东线战场成功拖住德国及其欧洲盟友逾75%的军力,德军在东线战场损失逾7成士兵。在战胜德国的背后,苏联亦付出惨重伤亡,官方统计多达2600万人丧生,其中800万人阵亡在前线。















